Der Gemeinderat der Gemeinde Dietingen hat am 07.05.2025 in öffentlicher Sitzung den Bebauungsplan „Rohräcker – Erweiterung“ nach § 10 Baugesetzbuch (BauGB) und die mit dem Bebauungsplan aufgestellten Örtlichen Bauvorschriften als jeweils eigenständige Satzungen beschlossen.
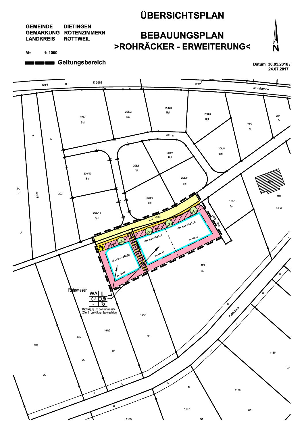
Maßgebend ist der Lageplan des Bebauungsplans vom 30.05.2016 / 24.07.2017.
Plan
Der Bebauungsplan und die Örtlichen Bauvorschriften „Rohräcker – Erweiterung“ treten mit dieser Bekanntmachung in Kraft (§ 10 (3) BauGB).
Der Bebauungsplan kann einschließlich seiner Begründung nach § 10 (4) BauGB bei der
Gemeindeverwaltung Dietingen
Kirchplatz 1, 78661 Dietingen
Tel. 0741 4806-0
während der üblichen folgenden Öffnungszeiten eingesehen werden:
Montag 8.00 Uhr – 11.45 Uhr
Dienstag 8.00 Uhr – 11.45 Uhr und 14.00 Uhr – 16.45 Uhr
Donnerstag 8.00 Uhr – 11.45 Uhr und 14.00 Uhr – 18.15 Uhr
Freitag 8.00 Uhr – 12.15 Uhr
Jedermann kann den Bebauungsplan einsehen und über seinen Inhalt Auskunft verlangen.
Die DIN EN 1997-2, DIN 4020, DWA-A 138 (2005), auf die in den textlichen Festsetzungen des Bebauungsplans verwiesen wird, werden bei der Gemeindeverwaltung Dietingen zur Einsichtnahme für jedermann bereitgehalten.
Auf die Vorschriften des § 44 (3) Satz 1 und 2 BauGB über Fälligkeit etwaiger Entschädigungsansprüche im Falle der in §§ 39 – 42 BauGB bezeichneten Vermögensnachteile, deren Leistung schriftlich beim Entschädigungspflichtigen zu beantragen ist, und des § 44 (4) BauGB über das Erlöschen von Entschädigungsansprüchen, wenn der Antrag nicht innerhalb der Frist von 3 Jahren gestellt ist, wird hingewiesen.
Es wird darauf hingewiesen, dass eine beachtliche Verletzung der im § 214 Abs. 1 Satz 1 Nr. 1–3 BauGB bezeichneten Verfahrens- und Formvorschriften, eine unter Berücksichtigung des § 214 Abs. 2 BauGB beachtliche Verletzung der Vorschriften über das Verhältnis des Bebauungsplans und des Flächennutzungsplans und ein nach § 214 Abs. 3 Satz 2 BauGB beachtlicher Mangel des Abwägungsvorgangs unbeachtlich werden, wenn sie nicht innerhalb eines Jahres seit dieser Bekanntmachung schriftlich gegenüber der Gemeinde Dietingen unter Darlegung des die Verletzung begründenden Sachverhalts geltend gemacht worden sind.
Nach § 4 Abs. 4 der Gemeindeordnung für Baden-Württemberg gilt der Bebauungsplan – sofern er unter der Verletzung von Verfahrens- und Formvorschriften der Gemeindeordnung oder auf Grund der Gemeindeordnung zu Stande gekommen ist – ein Jahr nach dieser Bekanntmachung als von Anfang an gültig zu Stande gekommen. Dies gilt nicht, wenn,
- die Vorschriften über die Öffentlichkeit der Sitzung, die Genehmigung oder die Bekanntmachung des Bebauungsplanes verletzt worden sind,
- der Bürgermeister dem Beschluss nach § 43 Gemeindeordnung wegen Gesetzwidrigkeit widersprochen hat, oder wenn innerhalb eines Jahres seit dieser Bekanntmachung die Rechtsaufsichtsbehörde den Beschluss beanstandet hat oder die Verletzung von Verfahrens- und Formvorschriften gegenüber der Gemeinde Dietingen unter Bezeichnung des Sachverhalts, der die Verletzung begründen soll, schriftlich oder elektronisch geltend gemacht worden sind.
Dietingen, den 22.05.2025
gez. Felix Hezel
Bürgermeister
Sie müssen den Inhalt von reCAPTCHA laden, um das Formular abzuschicken. Bitte beachten Sie, dass dabei Daten mit Drittanbietern ausgetauscht werden.
Mehr Informationen